As Houston begins its long recovery from Hurricane Harvey, epic wildfires burn throughout the western U.S., and Irma charges toward Florida after devastating several Caribbean islands, while two other storms build strength in the Atlantic basin, conservative radio host Rush Limbaugh is among those helping to expose the deadly consequences of climate change denialism by claiming threats posed by such global warming-related events are being exaggerated.
And so while climate activist Bill McKibben on Thursday morning warned that “we’ve never had anything quite like” the current fires and storms now being experienced, it was The Nation‘s Mark Hertsgaard who argues, in a piece titled “Climate Denialism Is Literally Killing Us,” that those who have made it public policy to downplay the threat of man-made climate change should be held to account for the deaths that such denialism is now causing.
During his show on Tuesday, Limbaugh told his listeners: “There is a desire to advance this climate change agenda, and hurricanes are one of the fastest and best ways to do it…. All you need is to create the fear and panic accompanied by talk that climate change is causing hurricanes to become more frequent and bigger and dangerous, and it’s mission accomplished, agenda advanced.”
He also alleged that reporting about hurricanes results from a “symbiotic relationship between retailers and local media” that “revolves around money,” adding: “The media benefits with the panic with increased eyeballs, and the retailers benefit from the panic with increased sales, and the TV companies benefit because they’re getting advertising dollars from the businesses that are seeing all this attention from customers.”
But these comments—which arrived as people in the Caribbean made emergency preparations for landfall and officials in Florida began announcing mandatory evacuations—were immediately decried as irresponsible.
“To state the obvious, these are potentially dangerous comments from Limbaugh, who is based in Palm Beach, Fla.,” writes Callum Borchers for the Washington Post. “He is encouraging listeners who might be in Irma’s path not to take seriously the official guidance disseminated through the media.”
With evacuations underway in southeast Florida on Thursday morning, the U.S. National Hurricane Service warned that Irma will likely “maintain most of its current intensity” while it approaches the state, and “the threat of dangerous major hurricane impacts in Florida continues to increase.”
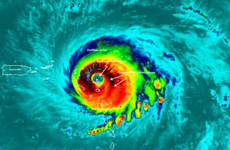
“Hurricane Irma’s epic size is being fueled by global warming,” Michael Le Page wrote for New Scientist on Wednesday. “Hurricane Irma has the strongest winds of any hurricane to form in the open Atlantic, with sustained wind speeds of 295 kph,” and “Irma could yet grow stronger.”
“So why did Irma grow so strong? Most likely because climate change is making Atlantic waters ever warmer,” Le Page continued. “Tropical cyclones are fueled by warm surface waters.”
Climate scientists such as Michael Mann explain that “one thing that the science is very clear on is that the strongest storms will get stronger because of global warming, because the oceans are warmer.”
In an interview with The Real News Network on Thursday, Mann said although there are many factors that contribute to how frequently tropical storms occur, with rising ocean temperatures, “we’re going to see more of these cat 4, cat 5 monsters like Irma,” as well as more extreme weather overall.
“Even though we’re so focused here in the U.S. on the impacts of extreme weather events on us,” Mann also noted, “in other regions, like India and Bangladesh, and Bangladesh in particular—which is already suffering from the impacts of global sea level rise—a very low-lying region, with millions of people, that has already been impacted by global sea level rise, and now you add to that these flooding record monsoonal rains, and you’re talking about a far greater loss of life than we’ve seen here in the U.S.”
“The impacts of climate change are gonna be most felt by the most vulnerable,” Mann added, “and that means that there’s a real sort of ethical dimension to acting to avert a climate catastrophe.”
Watch:
Last month, Harvey broke the record for the most rainfall from any single storm in the continental U.S., and Irma is now the most powerful Atlantic Ocean hurricane ever recorded. With scientists increasingly alarmed by this apparent new normal, many worry about climate change denialism among those with even more influence than talk radio provocateurs.
As Sen. Bernie Sanders (I-Vt.) wrote in a Facebook post Thursday morning: “We have a President, an EPA Chief, and a major political party who refuse to acknowledge the threat of climate change, even as we see storms this year reaching unprecedented levels of destruction. The debate is over. Climate change is real, it is here, and it is already doing irreparable damage to our homes and communities.”
But as hurricanes, intensified by global warming, continue to wreak havoc on islands and coastal communities—including the now-devastated Caribbean islands whose leaders decried President Donald Trump’s decision to withdraw from the Paris Climate Agreementand have recently urged developed nations to take action—the Trump administration continues its push for deregulation that benefits fossil fuel companies, and key leaders and advisors within the administration refuse to acknowledge ties between extreme weather events and climate change.
“It is past time to call out Trump and all climate deniers for this crime against humanity. No more treating climate denial like an honest difference of opinion,” Hertsgaard writes. “The individuals and institutions pushing climate denial must be called out with even greater vigor: in newspaper columns, on TV and radio talk shows, in town halls, at the ballot box, and by consumer boycotts, legal investigations, shareholder resolutions, street protests, and more.”
“Knowing what we know in 2017,” Hertsgaard concludes, “expanding fossil-fuel production is like Big Tobacco continuing to addict people to its cancer sticks: technically legal but, in effect, premeditated murder.”
Teaser photo credit: Satellite image of Hurricane Irma when the island of Barbuda was in the center of the storm’s eye. (Photo: NASA/NOAA/UWM-CIMSS, William Straka III)





